조황관리HOME / 조황관리 / 상세정보

제목 : 1/16일 돌돔덜덜이 조황입니다
등록일 : 2026-01-17
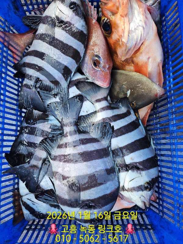
1/16일 돌돔덜덜이 다녀왔습니다.
마릿수로 올리신 분, 감을 못 잡으셔서 낱마리로 잡으신 분
다들 손 맛은 보셨지만 금지체장(24cm) 미달 사이즈가 거의 90% 었네요.
사이즈 미달 돌돔은 올라오자 마자 거의 바로 방생 하였고, 
사진 찍을때 들어 있던 녀석들도 모두 방생하니 킵 사이즈는
몇마리 되질 않았네요.
멀리까지 가셔서 고생하시고, 아쉬우실텐데 흔쾌히 방생들 해 주시고, 감사드립니다.
돌돔 출조는 기상 좋은 날봐서 출조 계획은 잡아 보겠습니다만 킵 사이즈가 그리 많지 않다는 거 감안하시면 좋으실 것 같습니다.
링크호 찾아주셔서 감사드리며, 안전히 귀가하셨길 바랍니다.



1000045652.jpg


1000045657.jpg


1000045660.jpg


1000045658.jpg


1000045672.jpg


1000045661.jpg


1000045665.jpg


1000045676.jpg


1000045677.jpg


1000045678.jpg


1000045679.jpg


1000045680.jpg


1000045681.jpg

 



*** 고흥 링크호 예약 안내 ***


밴드 https://band.us/@linkfishing


예약문의 : 010-6406-8848
채비문의 : 010-5062-5617

전남 고흥 녹동항

프랭크버거 - 전남 고흥군 도양읍 비봉로 165
조광낚시 - 비봉로 159
호수모텔 - 비봉로 165 호수장

세가지 중 하나 네비에 찍고 오셔서 맞은편 주차장에 주차하시고, 승선장소로 오셔서 기다려 주시면 시간 맞춰 모시러 가겠습니다.
1000032134.png


홈페이지 : https://link.sunsang24.com/ 

모바일.jpg 

Top